“This Must End”: Israel Orders New Mass Evacuation, Continuing Attacks on Gaza Health System

“We have an obligation as healthcare workers, as public health advocates, to state very clearly … our demands not only for an immediate and sustained ceasefire, but an end to the Israeli occupation.”
Jubilation and stunned silence: France reacts to exit polls

A left-wing coalition called New Popular Front is on course for a surprise victory in France’s snap parliamentary election. France’s far-right National Rally (RN) was widely expected to win the election, but exit polls suggest they have been beaten into third place, behind President Emmanuel Macron’s centrist alliance. New Popular Front’s supporters celebrated the projected victory in Place Stalingrad in Paris, while people at RN headquarters greeted the polls with stunned silence.
America Underwater: How Rising Sea Levels Will Transform the US

“Ultimately, the only way to slow the rate of sea level rise is to cut carbon pollution. As long as the blanket of greenhouse gasses in our atmosphere grows thicker, global temperatures will climb and our oceans will rise in response,” Girard said.
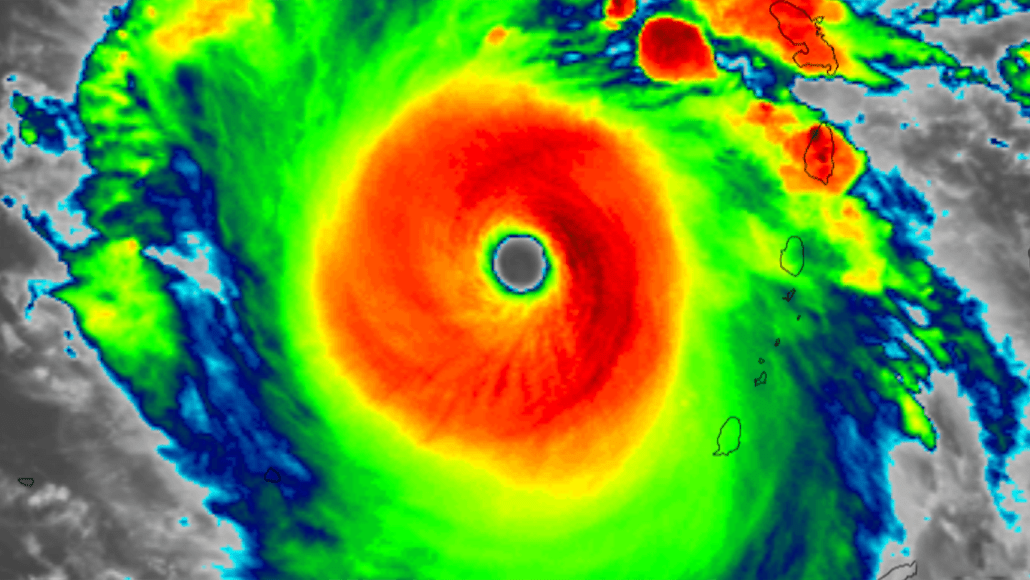
Why this year’s climate conditions helped Hurricane Beryl smash records

The oceans are warming. It doesn’t mean that every year, we get warmer than the previous year, but the trend is obviously there. Maybe in 2025 the ocean temperatures won’t be as warm as this year. But at some point, it would be nice to get back down to what records used to be. That almost seems like a foreign climate at this point.
